3194 SAYILI İMAR KANUNU 18. MADDE UYGULAMASI HAKKINDA
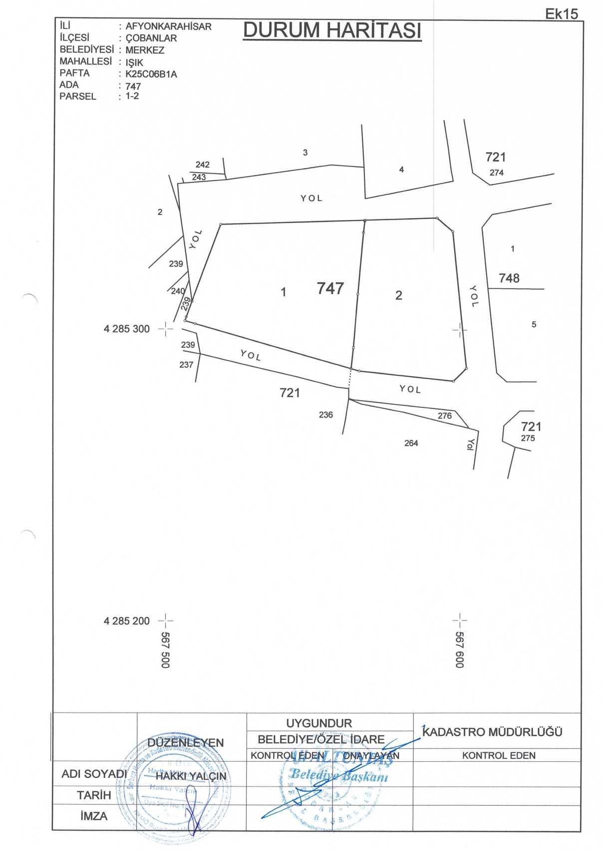
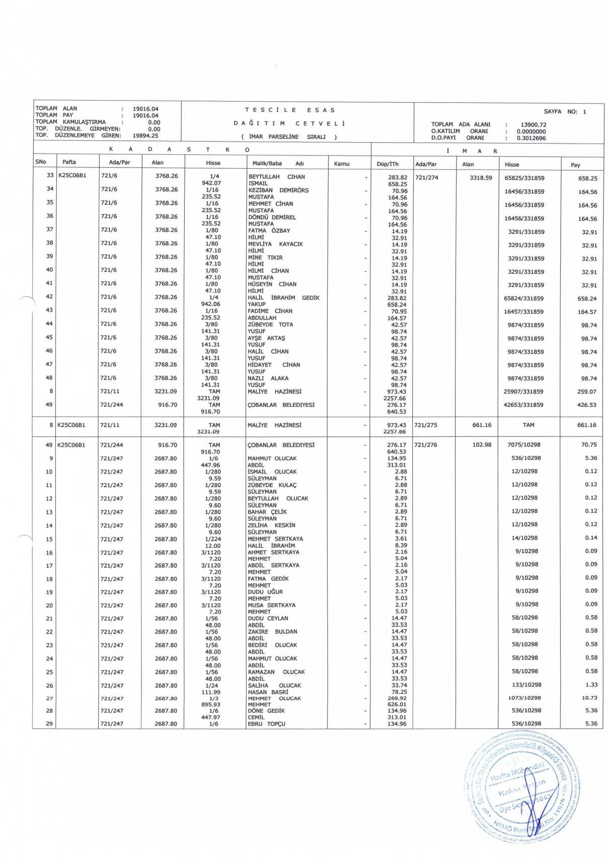
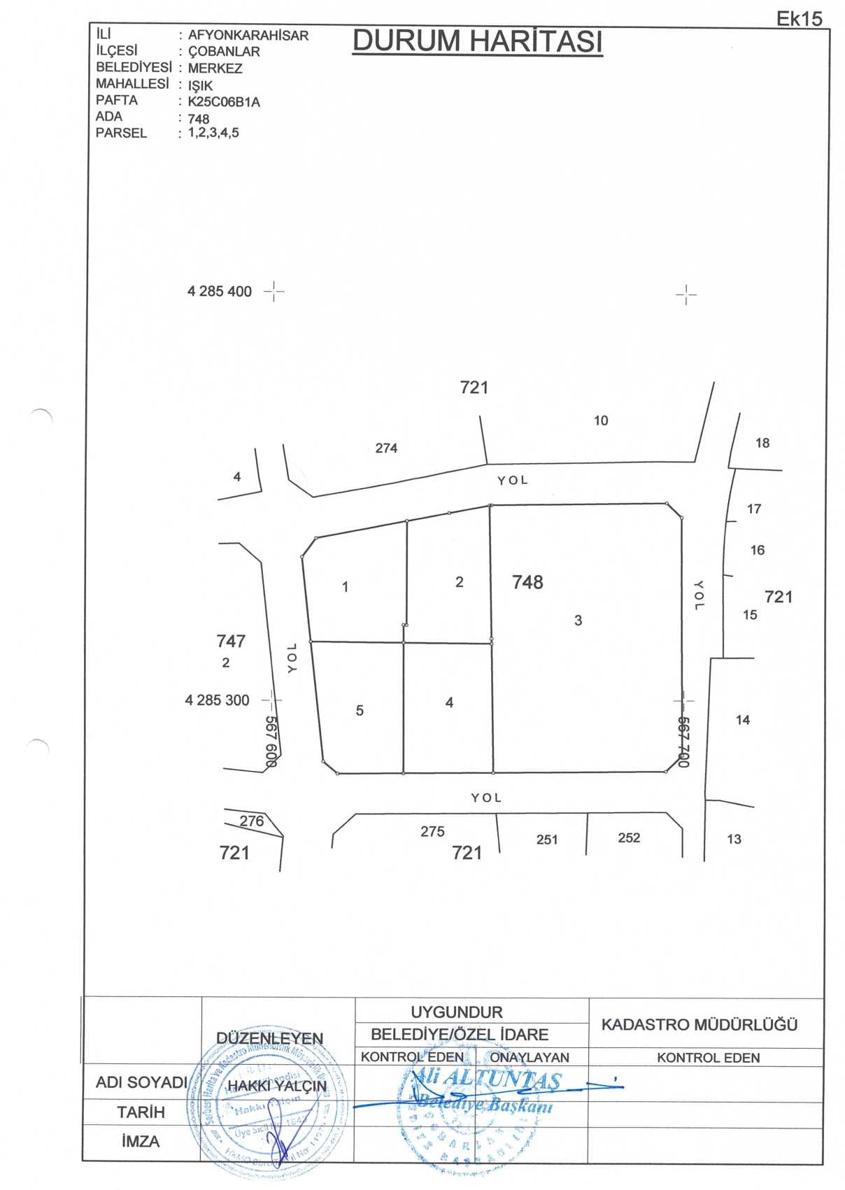
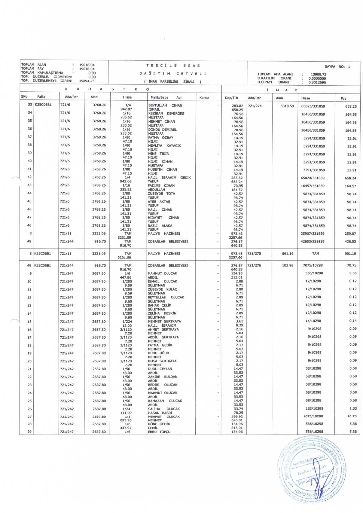
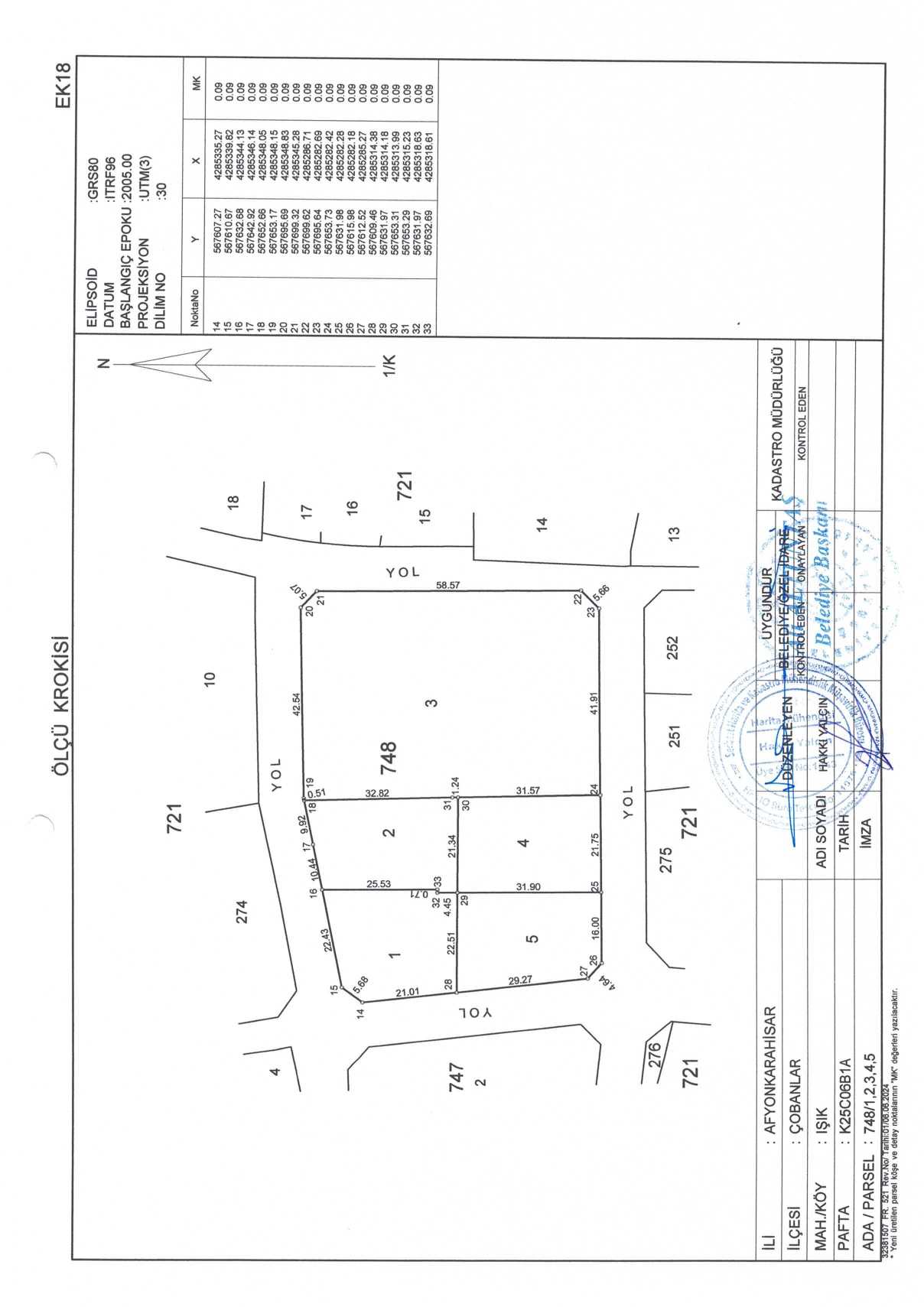
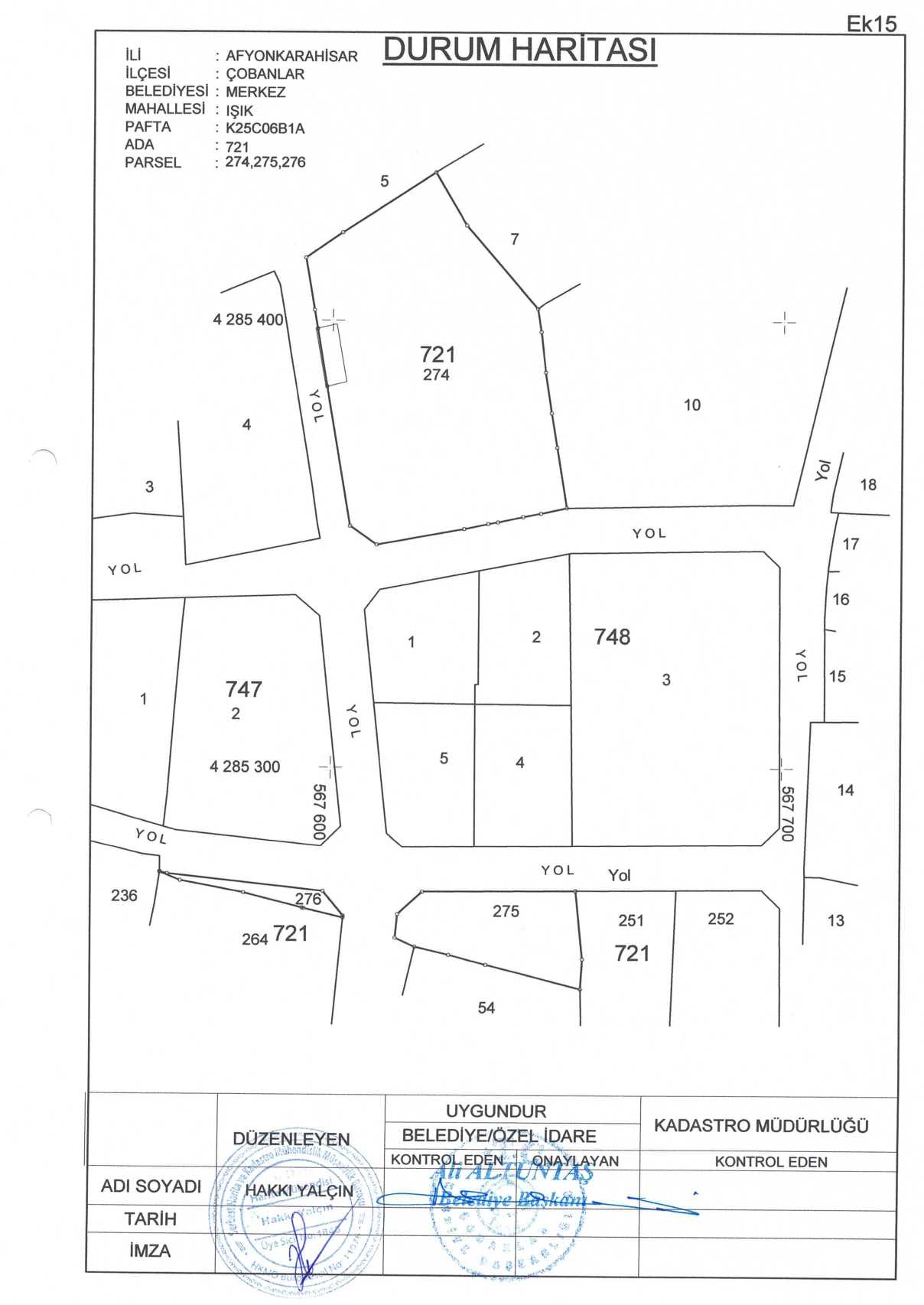
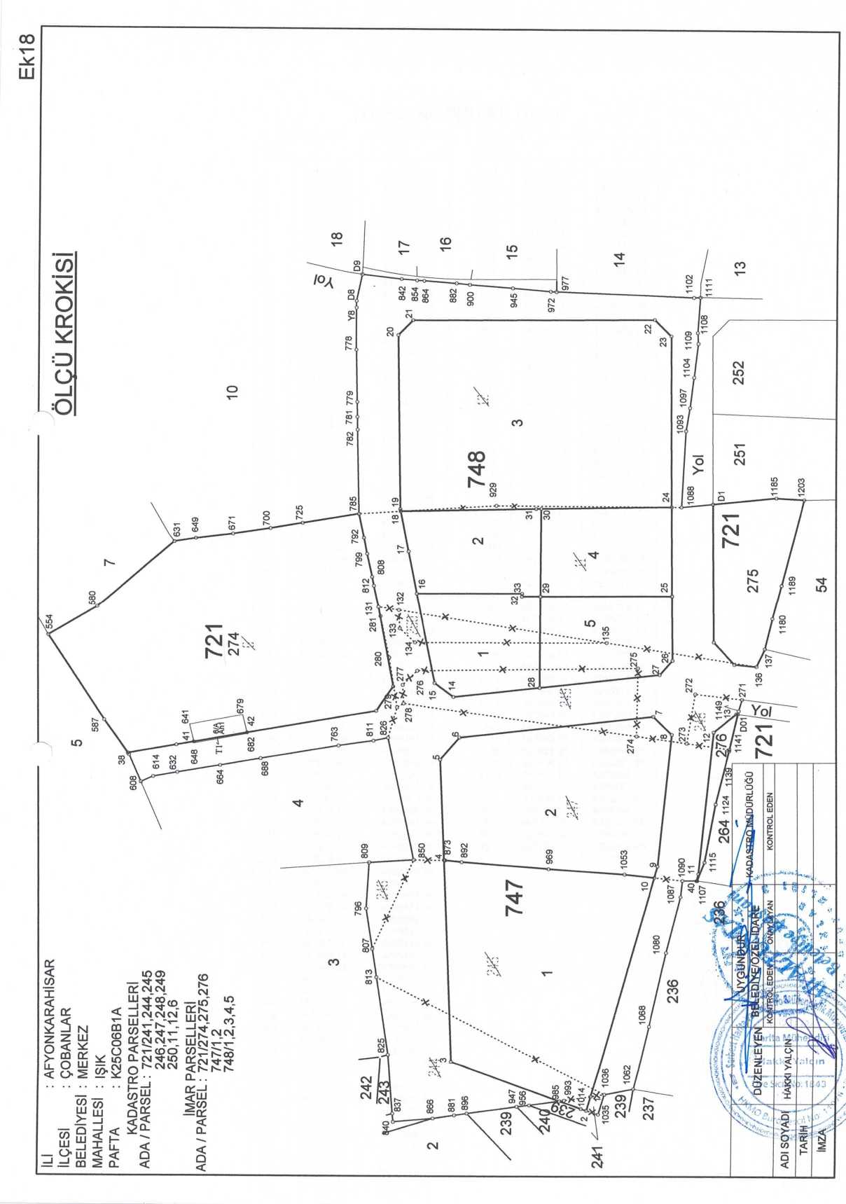
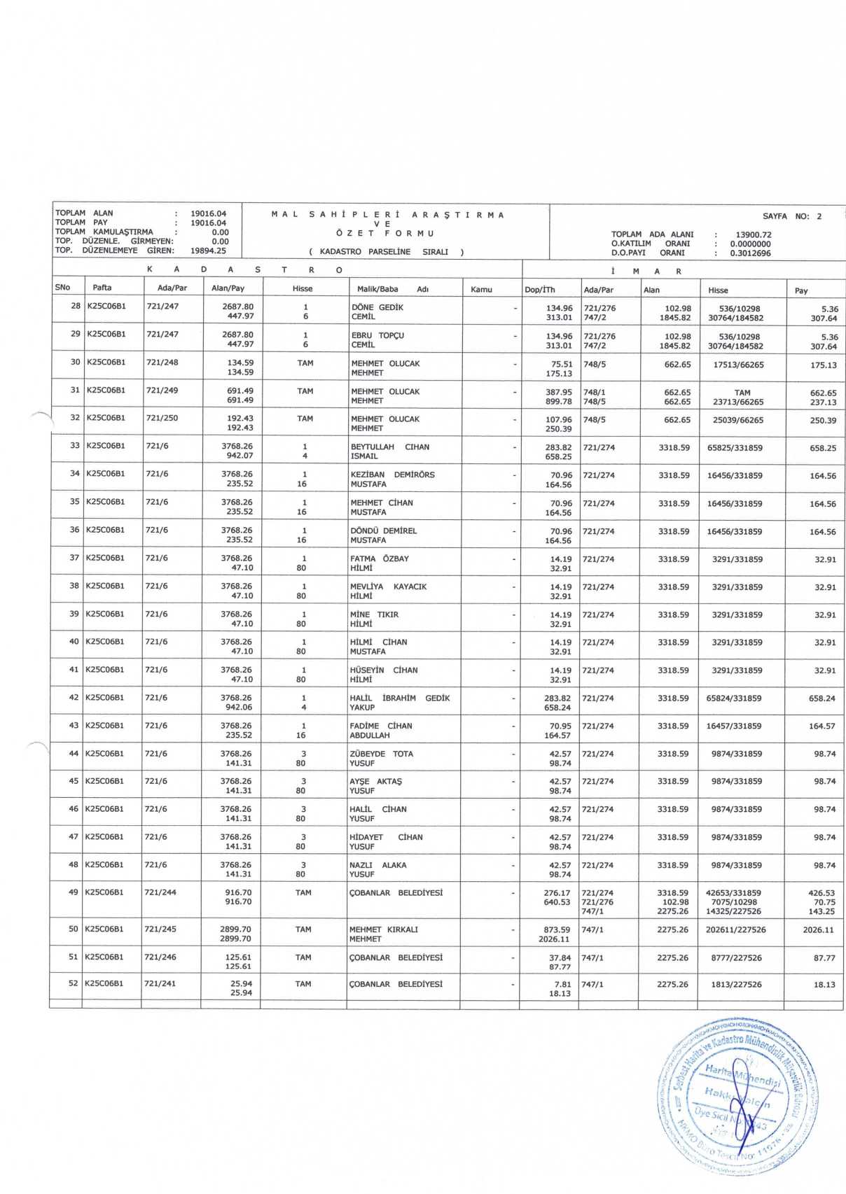
İlçemiz Işık Mahallesi 721 Ada, 274 no’lu, 275 no’lu ve 276 no’lu parsellerin, 747 ada 1no’lu , 2 no’lu parsellerin ve 748 Ada 1no’lu , 2 no’lu 3 no’lu , 4
no’lu , 5 no’lu parsellerin 5393 sayılı belediye kanunu ve 3194 sayılı imar
kanunu 18. Maddelerine göre imar uygulaması yapılması; 14.11.2025 tarihli
2025/57 karar numarası ve 21.11.2025 tarihli 2025/58 karar numaralarıyla
Çobanlar Belediyesi encümen kararıyla onaylanmış olup parselasyon planı ve ada
parsel dağıtım cetvelleri 3194 sayılı yasa gereğince 30(otuz) gün süreyle duyurulmak üzere belediyemiz internet sitesinde ve PARSİD
sisteminde askıya
çıkarılmıştır.








Yorumlar
Yorum Yap